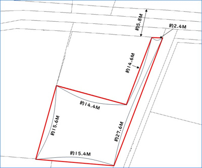
うるま市喜仲4丁目土地
物件情報
物件動画
周辺施設
コメント
うるま市喜仲4丁目土地 の物件概要
【売地】※地図上に表示される物件の位置は付近住所に所在することを表すものであり、実際の物件所在地とは異なる場合がございます。
【TOP】沖縄不動産情報 > (土地(売買))地域から探す > うるま市 > うるま市喜仲4丁目土地
うるま市喜仲4丁目土地
物件情報
物件動画
周辺施設
コメント
うるま市喜仲4丁目土地 の物件概要
【売地】※地図上に表示される物件の位置は付近住所に所在することを表すものであり、実際の物件所在地とは異なる場合がございます。

うるま市喜仲4丁目土地に関するこだわり条件から探す
うるま市以外の市区町村から探す